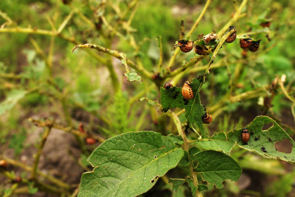
El escarabajo de la patata de Colorado es capaz de destruir por completo la mayor parte de la cosecha de patatas en días y, a veces, en horas. Y no solo él. Siendo un “consumidor” natural de cultivos de solanáceas, este insecto es capaz, en ausencia de su objetivo principal, de infectar también a otras plantas. Entre ellos pueden estar: Tomates, physalis, berenjena, pimientos. Veamos los mejores remedios para el escarabajo de la patata de Colorado.
Contenido:

Descripción
Hay varias docenas de métodos para tratar con el escarabajo de la patata de Colorado, sin embargo, la mayoría de ellos consumen bastante tiempo y son ineficaces.

escarabajo de patata
Lo más triste es que el enemigo natural del escarabajo, la mosca dorífora, no pudo salir de Colorado., a diferencia de su víctima, que se ha adaptado perfectamente a otras condiciones climáticas.

Larvas del escarabajo de la patata de Colorado
Además, dado que el escarabajo acumula solanina en su cuerpo, que es rica en los tallos y hojas de muchas solanáceas, se vuelve incomible para la mayoría de las aves y reptiles. De todas las aves que viven en un clima continental templado, solo la pintada puede comerse un escarabajo.

Cuestiones generales de la lucha contra el escarabajo de la patata de Colorado
Por lo tanto, la única forma aceptable de lidiar con este insecto es exterminarlo con la ayuda de insecticidas especializados.. La lucha contra esta plaga debe tener en cuenta las características del ciclo de vida de los escarabajos, así es como se logrará la máxima eficiencia de todos los medios que se planea utilizar.
Considere el ciclo de vida y las características del desarrollo del escarabajo con más detalle:
Los escarabajos hibernan a profundidades de 30 a 50 cm, los que no se congelan en invierno salen a la superficie, comienzan a alimentarse de brotes jóvenes (no necesariamente solanáceas) y se aparean. Además, si el escarabajo hembra se apareó en el otoño, en la primavera, al salir de la hibernación, inmediatamente pone huevos.
Los escarabajos salen de sus escondites invernales cuando ya no se esperan heladas. Por lo general, esto sucede cuando la temperatura del aire se estabiliza alrededor de + 12-15 ° C y no se esperan precipitaciones graves. El pico de este resultado cae en los últimos diez días de abril, los primeros diez días de mayo.

Huevos de escarabajo de patata de Colorado
En un día, el escarabajo hembra puede poner varias docenas de huevos.; durante toda la vida de la hembra, el número de huevos puede llegar a unos mil (según algunas fuentes, setecientos).
Así, la población de una sola hembra puede convertirse en un centro de distribución de escarabajos a escala regional. V regiones del norte los escarabajos rara vez sobreviven una generación, sin embargo, en el sur (regiones de Kuban, Rostov y Astrakhan, Kazajstán, Ucrania, Moldavia), puede haber dos o tres generaciones de escarabajos de Colorado, dependiendo de la temperatura y la duración de la estación cálida. Esto significa que, de hecho, las medidas preventivas para combatir el escarabajo ya deberían comenzar en esta etapa.
Las larvas dejan los huevos ya el quinto día, en condiciones climáticas desagradables, el día 15.. Para lidiar con éxito con las plagas en esta etapa, debe evitar la aparición de una gran cantidad de larvas y destruir la cantidad máxima de insectos antes de que pongan huevos.

El caso en que las medidas tomadas resultaron inútiles o extemporáneas
Las larvas ganarán masa durante unas tres semanas, luego excavarán en el suelo y se convertirán en pupas. Las pupas tienen tiempo para convertirse en insectos adultos y salir al final del verano, o hibernan hasta el próximo año y luego se convierten en adultos en la próxima primavera. Los escarabajos adultos en busca de nuevos lugares de alimentación o meta-invernada pueden volar hasta 10 km por día.

¡También pueden volar!
El ciclo de vida del escarabajo de la patata de Colorado es de varios meses, sin embargo, estos insectos tienen una capacidad única para entrar en un estado de diapausa, muchos meses de hibernación, que pueden llegar hasta los 3-4 años.. Es por eso que los escarabajos pueden producir descendencia inmediatamente a mediados de la primavera (a partir de hembras adultas fertilizadas que pasaron el invierno), y esta es la razón de la imposibilidad de su eliminación total. Bueno, al menos no todavía…
Los medios modernos contra los escarabajos creados por la industria química son bastante efectivos y el estado del problema ahora es mucho mejor que hace 20 o 30 años. Es muy posible que pronto haya un método universal para el exterminio completo del escarabajo de la patata de Colorado.

Instalaciones. Clasificación
Los insecticidas especializados contra este tipo de insectos se pueden clasificar según varios parámetros.
En el caso general, los remedios para el escarabajo de la patata de Colorado son de las siguientes clases:
- Fondos de especialización estrecha. Su uso está limitado a una sola forma de insecto. Algunos remedios solo ayudan contra las larvas, otros solo contra los escarabajos adultos y maduros.
- Propósito general o universal. Tales armas son capaces de dañar plagaspasando por cualquier fase del ciclo de vida.
Estos últimos, los remedios universales, son químicamente más activos y tienen un efecto más fuerte tanto en los escarabajos como en las plantas (y, si no se observan las normas de seguridad, en las personas). Naturalmente, no todos, pero muchos de los medios de este grupo son fitotóxicos, es decir, afectan negativamente el crecimiento. papas y maduración de sus tubérculos.

Patatas antes de plantar
Si existe una posibilidad tan desagradable, se recomienda no tratar con tales medios en ningún caso Papadestinados a plantar el próximo año. En el mejor de los casos, después de dicho tratamiento, dará plántulas y descendencia muy débiles, en el peor de los casos, no brotará en absoluto.
Por medio de la influencia

plantar papas
A su vez, según los métodos de uso, los fondos contra el escarabajo de la patata de Colorado se dividen ensiguientes grupos:
- preparaciones para encurtircreado para el "tratamiento" de tubérculos (este término significa un tratamiento especial de tubérculos previo a la siembra);
- preparaciones para rociar; se utilizan para la aplicación a hojas o tallos mediante pulverizadores.
La clasificación principal utilizada actualmente divide estos agentes según los métodos de influencia sobre las plagas.
Ellos son:
- Medios de contacto. La derrota de los escarabajos de plagas ocurre cuando los insectos entran en contacto con los tallos, hojas o flores tratados del arbusto que atacan. Dichos fondos tienen un inconveniente importante: durante las lluvias, el riego o cualquier otra forma de obtener agua en la planta, se lavan. Este último implica rociar dichos productos en clima seco, cuando no se esperan lluvias y no se planea regar.
- Por vía intestinal. Estas sustancias ingresan al cuerpo de los escarabajos a través de su nutrición.
- Herramientas de sistema. Esta categoría de fondos ingresa a la planta, llenándola casi por completo. Como resultado de tal exposición, las hojas y los tallos de las plantas se vuelven venenosos para los escarabajos.
Por ingrediente activo

caza de plagas
Los principales principios activos contra los escarabajos de la patata de Colorado son:
- Avermectinas. Son producto de la actividad vital de los hongos estreptomicetam. También se pueden producir industrialmente. Muy a menudo, la composición del insecticida contra el escarabajo incluye una modificación como avertin-N o aversectin-S. El primero tiene un buen efecto sobre las larvas y los adultos, el segundo sobre todas las formas del escarabajo, incluidos los huevos y las pupas. Sin embargo, debe recordarse que tanto los preparados intestinales como los de contacto a base de avermectinas son poco peligrosos para los humanos, sin embargo, pueden ser venenosos para otros insectos, como las abejas. Por lo tanto, se recomienda con precaución el uso de dichos medicamentos en las cercanías de los colmenares.
- Piretrinas. Estas son sustancias que están contenidas en las células de las plantas de la familia Asteraceae. También se pueden sintetizar artificialmente. Los medios basados en ellos bloquean el sistema nervioso de los escarabajos y provocan su muerte. Además, al igual que el grupo anterior, son de baja toxicidad para los humanos, pero venenosos para peces y abejas. Además, a altas temperaturas (por encima de + 25 ° C), su efecto se debilita significativamente hasta su completa ausencia.
- Compuestos de fósforo. Medios contra insectos pertenecientes a la tercera clase de peligro. Con una exposición prolongada y de baja concentración, los escarabajos generalmente pueden desarrollar inmunidad a las drogas de este grupo.
- neonicotinoides. Estas sustancias se utilizan para crear remedios sistémicos contra los escarabajos de la patata de Colorado.

Cómo se usan los insecticidas
La baja toxicidad de cualquier repelente de insectos no significa que pueda usarse sin temor por su salud. Esto significa que la adquisición y uso de dichos medicamentos requiere ciertas precauciones.

fumigación papas
Considerarlos:
- es necesario comprar solo medicamentos que hayan sido certificados y cumplan con los estándares
- Está prohibido utilizar insecticidas que hayan caducado
- inaccesibilidad durante el almacenamiento para niños o mascotas
- las condiciones de almacenamiento de los medicamentos deben cumplir con sus instrucciones; lugar generalmente seco, oscuro y fresco
- el veneno se disuelve en agua (u otros solventes) exactamente de acuerdo con las instrucciones y en las dosis allí indicadas; una sobredosis de la droga puede ser muy peligrosa tanto para las personas como para el medio ambiente
- cada medicamento es compatible (o no compatible) con cualquier otro medicamento; esta información debe indicarse en las instrucciones; está prohibido el uso de drogas incompatibles en el mismo lugar al mismo tiempo
- las soluciones de pulverización deben prepararse solo antes de su uso (como mínimo, dos horas antes de la pulverización)
- es mejor rociar las papas por la mañana o por la noche en clima seco
- la persona involucrada en la fumigación debe estar vestida con ropa especializada: un traje que proteja la piel del posible contacto con la droga; es obligatorio el uso de equipo de protección como gafas, respirador y guantes
- durante la fumigación está prohibido comer, beber, fumar; tampoco se recomienda hablar.
- si el insecticida entra en contacto con la piel, se recomienda lavarla con abundante agua corriente
- los restos de la solución no deben drenarse a la alcantarilla; deben verterse en un hoyo excavado en el suelo en algún lugar de un páramo, luego este hoyo debe enterrarse
- al final de la pulverización, es necesario lavar el rociador, lavar bien la ropa de trabajo y que el trabajador se duche, habiéndose lavado con jabón para lavar
- cada insecticida actúa por un tiempo determinado; no se permite el reprocesamiento antes de este período; El tiempo está en las instrucciones.

Popular control de plagas
Preparaciones utilizadas para aliñar
Los medios de este tipo son capaces de proteger a los jóvenes. papas solo por una cierta cantidad de tiempo. Transcurrido este tiempo, se produce la descomposición química del insecticida. Para que los escarabajos al final de este período no puedan dañar las plantas, es necesario procesar el sitio nuevamente, pero utilizando otros medios.

Prestigio, CS
Es una droga del principio del sistema de trabajo. El fabricante es la empresa química alemana Bayer. La composición del medicamento incluye las siguientes sustancias activas:
- imidiacloprid; un repelente de insectos desarrollado hace más de diez años y que tiene una excelente característica: la protección de los tubérculos tratados con él conserva su eficacia durante un mes y medio; además del escarabajo de la patata de Colorado, los tubérculos estarán protegidos de las cigarras, pulgones, garrapatas; y los parásitos del suelo (medvedki, Khrushchev, gusanos de alambre y palas) pasarán por alto el sitio;
- peniques; remedio para las infecciones por hongos; el tiempo para proteger las papas de diversas formas de hongos es de aproximadamente 40 días; en primer lugar, estas enfermedades incluyen tizón tardío y rhizoctora;
La herramienta pertenece a la tercera clase de peligro. La concentración de trabajo para el uso de este agente es de 1 a 20.
Las tasas de consumo son las siguientes: Se consume 1 ml de la droga por 1 kg de papas. Se lleva a cabo un tratamiento previo a la siembra: los tubérculos se colocan en una capa sobre una lona o tierra y se rocían con una solución preparada anteriormente. La solución tiene un color rosa, por lo que se nota en el diamante de imitación lo bien que se cubrirán los tubérculos. Cuando la solución se seca, se forma una capa de película delgada sobre los tubérculos.
Después de que la solución se seque, los tubérculos deben voltearse para rociar su parte inferior. Luego deben secarse nuevamente y luego proceder a la siembra. Esto es obligatorio: plante para que ambos lados de la papa se sequen, de lo contrario, la efectividad del producto disminuirá notablemente. También se recomienda tratar las papas cerca del sitio de siembra para que la película de insecticida no se despegue del cuerpo del tubérculo durante su transporte.
Dado que el agente ingresa al tallo y las hojas de la planta, los escarabajos, al comenzar a alimentarse de ellos, mueren de inmediato, sin siquiera tener tiempo de poner sus huevos. En tubérculos que se forman de nuevo en el arbusto, y que luego serán removidos como cosecha, el agente no penetra. Una función adicional de la droga es estimular el crecimiento de un arbusto de papa. y efecto anti-estrés, ya que los ejemplares tratados con él toleran mucho mejor el descenso de temperatura y la falta de agua. Cuando caduca, el producto se descompone por completo en componentes no peligrosos.

"Tabú"
También un repelente de insectos sistémico basado en el mismo fármaco, imidiacloprid. Similar a la preparación anterior, produce una protección integral de la planta no solo del escarabajo de la patata de Colorado, sino también del gusano alambre y otros parásitos. Significa que "Taboo" se puede usar junto con fungicidas.
La solución se hace de la siguiente manera: Se deben disolver 8 ml del producto en un litro de agua. Esto será suficiente para tratar alrededor de un centavo de tubérculos de patata. La composición de este medicamento incluye tensioactivos pegajosos que pueden crear una película delgada y duradera en su superficie que mantiene el insecticida alrededor del tubérculo. La película es lo suficientemente fuerte, lo que permite decapar los tubérculos lejos del sitio de plantación; durante el transporte, la protección de los tubérculos no se derrumbará.
Para una mejor visibilidad de la capa grabada, tiene un color rosa. Dado que los brotes pueden dañarse al voltear las papas germinadas, Taboo se puede usar para procesar tubérculos directamente en los hoyos de plantación. Para pulverizar 100 m2. m área debe diluirse en 10 litros de agua 4 ml de la droga. En este caso, la solución debe hacerse homogénea; esto se puede lograr de la siguiente manera: al principio, el agente se disuelve en un vaso de agua tibia, y luego el vaso resultante de agente altamente concentrado se vierte en un recipiente de 10 litros.
Los tubérculos se colocan en los agujeros y luego se rocían con un consumo medio de unos 30 ml de producto por tubérculo. El veneno impregna los brotes y las hojas de la planta, pero no penetra en los tubérculos. La duración de la droga es de 1,5 meses, lo que, teniendo en cuenta el ciclo de vida del escarabajo de la patata de Colorado, no permite que este último tenga tiempo para poner huevos.
Aerosoles de Bush

Significa "Aktara"
También un remedio sistémico, pero basado en el fármaco tiametoxam.. Tiene la capacidad de ser absorbido casi instantáneamente por el follaje y los tallos de los arbustos de papa, convirtiéndolos en un veneno no solo para los escarabajos, sino también para casi todos los lepidópteros.
La acción de la droga se basa en bloquear el sistema nervioso de los insectos., su muerte ocurre alrededor de un día después de su uso; al mismo tiempo, durante estos días, los insectos no pueden comer.

Significa "CORADO"
Producto a base de imidiacloprid. Tiene un efecto sistémico. Aproximadamente 60-80 minutos después de que ingresa al cuerpo de un insecto, hace que sea imposible alimentarlo. La muerte se produce en unos 2-3 días. El medicamento no es suficientemente resistente a la humedad, por lo que se recomienda usarlo en ausencia de viento y precipitaciones por la tarde o por la mañana. En casos extremos, se permite usar el medicamento antes de regar (o llover), pero a más tardar 4 horas antes.
El producto se presenta en ampollas de 1 y 5 ml o viales de 10 ml. Consumo de fondos por 100 m2. m es 1 ml por 10 litros de agua. La duración de los fondos es de unos 30 días. Este insecticida está permitido para tratar papas solo una vez por temporada.

"Asesino"
Preparado de contacto intestinal a base de compuestos de clorpirifis y cipermetrina. Mata casi todas las plagas de papa resistentes a los compuestos organofosforados. Se recomienda aplicar en tiempo seco y tranquilo a una temperatura no superior a +22°C..
El consumo de la droga es de aproximadamente 100 ml por 100 m2. M. Este volumen se disuelve en 10 litros de agua. El período de actividad de la droga es de 3 semanas. Además, al igual que otros insecticidas, se permite tratar las papas con él solo una vez por temporada. Además, este tratamiento no debe realizarse más de un mes antes de la cosecha.

Monumento al escarabajo. De los agricultores "agradecidos" de Hungría en honor al 50 aniversario de su aparición en el país
VÍDEO: PATATAS. ¿POR QUÉ APARECIÓ DE NUEVO EL ESCARABAJO DE COLORADO?
TOP 5 Remedios para el escarabajo de la patata de Colorado. Descripción de la vida de la plaga, clasificación de los medios contra ella (Foto y Video) + Reseñas
Corado en tal calor es prácticamente inútil; trato con papas en pequeños volúmenes, porque hay poca tierra de solo 10 acres, así que hace dos días procesé las papas con cuidado; falsificación oficial excluida
Pruebe las flores "Tabaco perfumado", un cebo venenoso para el escarabajo. Funciona correctamente desde los años 40 del siglo XIX. Pruébalo, no hay mucho trabajo, pero hace más de 10 años que no vemos un escarabajo. Si te las arreglas, y no lo harás.
¡¿No sé qué tan efectivo se puede hacer un remedio de una planta que destruye con gran placer y un apetito exorbitante?! (Este año no sembramos papas)
No sé de dónde eres, así que no puedo decir nada sobre el momento. Tienes un error lógico, no necesitas cocinar nada de Fragrant Tobacco, es el veneno para el escarabajo. Es solo que no ves esto en campo abierto: los escarabajos y sus larvas vienen, se envenenan, se reemplazan por otros nuevos que vienen del exterior y la imagen ante tus ojos no cambia: los escarabajos comen tabaco fragante con apetito. Probablemente no los marques.
Intenta repetir mi "Experiencia sobre la mesa". Me trajeron el segundo lote de escarabajos a mediados de agosto. Estamos a finales de junio, alrededor de 1,5 meses hasta mediados de agosto, debería ser suficiente para que las plántulas de Fragrant Tobacco crezcan hasta un tamaño aceptable. Repita la experiencia y verá con SUS ojos cuán efectivo puede ser el Tabaco Fragante cuando se usa correctamente. Simplemente no plantes más de tres o cuatro escarabajos en un frasco, ya que el tabaco fragante puede no ser suficiente para todos.
No se puede acceder a su dirección. ¿Puedes decirme cómo usar las flores Tabaco fragante de insectos?
Hm...
No sé exactamente qué sustancia, pero mi padre rocía papas con ella incluso al plantar, y no hay escarabajos en el camino durante todo el período de crecimiento. Aquí, sin embargo, no sé exactamente qué tipo de veneno, el color es rosa, incluso lila. Pero definitivamente es un remedio efectivo, ya que se olvidaron del problema de los escarabajos.
Sería genial si aún descubrieras el nombre de esta sustancia "rosa")
PRESTIGIO
Trató de Regente.
Mató todos los brotes. Las papas brotaron dos semanas después, ¡y no todas! Había alrededor de una docena de escarabajos muertos, y el resto fueron interrumpidos por otros, y después de 1-2 semanas estaban tranquilamente comiendo papas procesadas por Prestige.
Debido a los brotes tardíos y su crecimiento inhibido, además de la sequía, ¡y me quedé prácticamente sin cosecha!
Y una cosa más... El artículo es inteligente, pero prometía cinco mejores remedios e indicaba solo tres Actos, Killer e Imidacloprid en variedades.
No hay industria química en Rusia. los pesticidas son comprados en el extranjero por todo tipo de LLC, en el país se envasan en ampollas
Este año el escarabajo no se lleva nada. salpicas, el escarabajo cae, luego recupera el sentido y vuelve a arrastrarse hacia el arbusto. Estoy acostumbrado a los antibióticos como las personas.
¿Por qué está escrito imidacloprid en el empaque del asesino, mientras que usted escribe compuestos completamente diferentes? La imidacloprina es un compuesto de nitrógeno, mientras que los tuyos son de fósforo.
24 de mayo de 1950 Los estadounidenses "agradecidos" rociaron toneladas de escarabajos sobre la RDA y Hungría.
Baba Maria contó cómo estuvo en Alemania durante la guerra, los sacaron de la URSS para trabajar, los estadounidenses tiraron redes desde los aviones, algunas redes no se rompieron, y todos fueron a ver qué era ...